Peces I Flashcards

(38 cards)

1
Q

Orden :
Familia :
N. cientifico :
N. Común :

A

Orden : Petromyzontiformes
Familia : Petromyzontidae
N. cientifico : Petromyzon marinus
N. Común : Lamprea de Mar

How well did you know this?
1
Not at all
2
3
4
5
Perfectly
2
Q

Orden :
Familia :
N. cientifico :
N. Común :

A

Orden : Carcharhiniformes
Familia : Scyliorhinidae
N. cientifico : Scyliorhinus canicula
N. Común : Pintarroja

How well did you know this?
1
Not at all
2
3
4
5
Perfectly
3
Q

Orden :
Familia :
N. cientifico :
N. Común :

A

Orden : Carcharhiniformes
Familia : Triakidae
N. cientifico : Galeorhinus galeus
N. Común : Cazón

How well did you know this?
1
Not at all
2
3
4
5
Perfectly
4
Q

Orden :
Familia :
N. cientifico :
N. Común :

A

Orden : Rajiformes
Familia : Rajidae
N. cientifico : Raja clavata
N. Común : Raya de clavos

How well did you know this?
1
Not at all
2
3
4
5
Perfectly
5
Q

Orden :
Familia :
N. cientifico :
N. Común :

A

Orden : Acipenseriformes
Familia : Acipenseridae
N. cientifico : Acipenser sturio
N. Común : Esturión

How well did you know this?
1
Not at all
2
3
4
5
Perfectly
6
Q

Orden :
Familia :
N. cientifico :
N. Común :

A

Orden : Anguilliformes
Familia : Anguillidae
N. cientifico : Anguilla anguilla
N. Común : Anguila

How well did you know this?
1
Not at all
2
3
4
5
Perfectly
7
Q

Orden :
Familia :
N. cientifico :
N. Común :

A

Orden : Anguilliformes
Familia : Congridae
N. cientifico : Conger conger
N. Común : Congrio

How well did you know this?
1
Not at all
2
3
4
5
Perfectly
8
Q

Orden :
Familia :
N. cientifico :
N. Común :

A

Orden : Lophiiformes
Familia : Lophiidae
N. cientifico : Lophius piscatorius
N. Común : Rape blanco

How well did you know this?
1
Not at all
2
3
4
5
Perfectly
9
Q

Orden :
Familia :
N. cientifico :
N. Común :

A

Orden : Gadiformes
Familia : Gadidae
N. cientifico : Melanogrammus aeglefinus
N. Común : Eglefino

How well did you know this?
1
Not at all
2
3
4
5
Perfectly
10
Q

Orden :
Familia :
N. cientifico :
N. Común :

A

Orden : Gadiformes
Familia : Gadidae
N. cientifico : Gadus morhua
N. Común : Bacalao

How well did you know this?
1
Not at all
2
3
4
5
Perfectly
11
Q

Orden :
Familia :
N. cientifico :
N. Común :

A

Orden : Gadiformes
Familia : Gadidae
N. cientifico : Micromesistius poutassou
N. Común : Bacaladilla

How well did you know this?
1
Not at all
2
3
4
5
Perfectly
12
Q

Orden :
Familia :
N. cientifico :
N. Común :

A

Orden : Gadiformes
Familia : Merlucciidae
N. cientifico : Merluccius merluccius
N. Común : Merluza o Merluza europea

How well did you know this?
1
Not at all
2
3
4
5
Perfectly
13
Q

Orden :
Familia :
N. cientifico :
N. Común :

A

Orden : Perciformes
Familia : Sparidae
N. cientifico : Sparus aurata
N. Común : Dorada

How well did you know this?
1
Not at all
2
3
4
5
Perfectly
14
Q

Orden :
Familia :
N. cientifico :
N. Común :

A

Orden : Perciformes
Familia : Sparidae
N. cientifico : Pagellus bogaraveo
N. Común : Besugo

How well did you know this?
1
Not at all
2
3
4
5
Perfectly
15
Q

Orden :
Familia :
N. cientifico :
N. Común :

A

Orden : Perciformes
Familia : Bramidae
N. cientifico : Brama brama
N. Común : Japuta o Palometa

How well did you know this?
1
Not at all
2
3
4
5
Perfectly
16
Q

Orden :
Familia :
N. cientifico :
N. Común :

A

Orden : Perciformes
Familia : Carangidae
N. cientifico : Trachurus trachurus
N. Común : Jurel

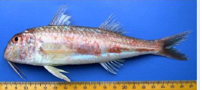
17
Q

Orden :
Familia :
N. cientifico :
N. Común :

A

Orden : Perciformes
Familia : Mullidae
N. cientifico : Mullus barbatus
N. Común : Salmonete de fango

18
Q

Orden :
Familia :
N. cientifico :
N. Común :

A

Orden : Perciformes
Familia : Mullidae
N. cientifico : Mullus surmuletus
N. Común : Salmonete de roca

19
Q

Orden :
Familia :
N. cientifico :
N. Común :

A

Orden : Perciformes
Familia : Serranidae
N. cientifico : Epinephelus marginatus
N. Común : Mero

20
Q

Orden :
Familia :
N. cientifico :
N. Común :

A

Orden : Perciformes
Familia : Moronidae
N. cientifico : Dicentrarchus labrax
N. Común : Lubina o Robalo

21
Q

Orden :
Familia :
N. cientifico :
N. Común :

A

Orden : Perciformes
Familia : Scombridae
N. cientifico : Scomber scombrus
N. Común : Caballa

22
Q

Orden :
Familia :
N. cientifico :
N. Común :

A

Orden : Perciformes
Familia : Scombridae
N. cientifico : Scomber colias
N. Común : Estornino o Caballa del sur

23
Q

Orden :
Familia :
N. cientifico :
N. Común :

A

Orden : Perciformes
Familia : Scombridae
N. cientifico : Thunnus thynnus
N. Común : Atún rojo o de aleta azul

24
Q

Orden :
Familia :
N. cientifico :
N. Común :

A

Orden : Perciformes
Familia : Scombridae
N. cientifico : Thunnus alalunga
N. Común : Atún blanco, Bonito del norte o Albacora

25
Orden : Familia : N. cientifico : N. Común :
Orden : Perciformes Familia : Scombridae N. cientifico : Sarda sarda N. Común : Bonito
26
Orden : Familia : N. cientifico : N. Común :
Orden : Perciformes Familia : Xiphiidae N. cientifico : Xiphias gladius N. Común : Pez espada o emperador
27
Orden : Familia : N. cientifico : N. Común :
Orden : Perciformes Familia : Luvaridae N. cientifico : Luvarus imperialis N. Común : Luvaro
28
Orden : Familia : N. cientifico : N. Común :
Orden : Perciformes Familia : Gobiidae N. cientifico : Aphia minuta N. Común : Chanquete
29
Orden : Familia : N. cientifico : N. Común :
Orden : Escorpeniformes Familia : Sebastidae N. cientifico : Helicolenus dactylopterus N. Común : Gallineta
30
Orden : Familia : N. cientifico : N. Común :
Orden : Escorpeniformes Familia : Scorpaenidae N. cientifico : Scorpaena scrofa N. Común : Cabracho
31
Orden : Familia : N. cientifico : N. Común :
Orden : Clupeiformes Familia : Engraulidae N. cientifico : Engraulis encrasicolus N. Común : Boquerón o anchoa
32
Orden : Familia : N. cientifico : N. Común :
Orden : Clupeiformes Familia : Clupeidae N. cientifico : Sardina pilchardus N. Común : Sardina ## Footnote +++ dodu
32
Orden : Familia : N. cientifico : N. Común :
Orden : Salmoniformes Familia : Salmonidae N. cientifico : Salmo salar N. Común : Salmón o salmón atlántico
33
Orden : Familia : N. cientifico : N. Común :
Orden : Salmoniformes Familia : Salmonidae N. cientifico : Salmo trutta N. Común : Trucha común
34
Orden : Familia : N. cientifico : N. Común :
Orden : Salmoniformes Familia : Salmonidae N. cientifico : Oncorhynchus mykiss N. Común : Trucha arco iris
35
Orden : Familia : N. cientifico : N. Común :
Orden : Pleuronectiformes Familia : Scophthalmidae N. cientifico : Lepidorhombus boscii N. Común : Gallo
36
Orden : Familia : N. cientifico : N. Común :
Orden : Pleuronectiformes Familia : Scophthalmidae N. cientifico : Psetta maxima o Scophthalmus maximus N. Común : Rodaballo
37
Orden : Familia : N. cientifico : N. Común :
Orden : Pleuronectiformes Familia : Soleidae N. cientifico : Solea Solea N. Común : Lenguado europeo