Gelastocoridae
1

Libellulidae
1
boot in the wing

Orthoptera
1
Fulgoroidea (superfamily)
Suborder
Auchenorrhyncha
Dictyopharidae
Cixiidae
Lanterfly
look back at this famley

Order: Hemiptera
1
Gerridae
1

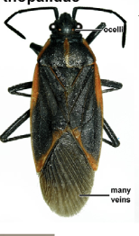
Cicadidae
Suborder
Auchenorrhyncha
1

Romaleidae
1

Rhopalidae
1
has many vinas in the wing!!

Acrididae
1

Gryllidae
1
look back.

Odonata
1
Miridae
1
has the Cuneus

Notonectidae
1
they swing on there back
light color on top
convet!!!

Belostomatidae
1

Tettigoniidae
1

Membracidae
Suborder
Auchenorrhyncha
1

Gomphidae
1

Gryllotalpidae
1

Coccoidea
only have the scal part.
1

Rhaphidophoridae
1

Lygaeidae
probly will be lable as the superfamily
Lygaeoidea
1
has 4 or 5 vins in the wings

Anthocoridae
1
mintue prie bugs
