Renal Flashcards

(171 cards)

1
Q

Outline the 7 areas to evaluate when trying to distinguish between acute and chronic kidney disease and outline the more advanced methods further.

A
How well did you know this?
1
Not at all
2
3
4
5
Perfectly
2
Q

What level of creatinine in abdominal fluid indicates urinary tract rupture?

A

> 2x that of serum

How well did you know this?
1
Not at all
2
3
4
5
Perfectly
3
Q

IRIS staging of CKD in dogs and cats.

A

n.b. main difference is for stage 2 (>125mml/L dog, >140mmol/L cat). Otherwise values are essentialy the same

How well did you know this?
1
Not at all
2
3
4
5
Perfectly
4
Q

Outline the IRIS AKI Grading criteria

A
How well did you know this?
1
Not at all
2
3
4
5
Perfectly
5
Q

Normal GFR values for dog and cat

A
  • Dog: 3.5-4.5ml/min/kg
  • Cat: 2.5-3.4ml/min/kg
How well did you know this?
1
Not at all
2
3
4
5
Perfectly
6
Q

4 characteristics for makers that are required to allow GFR measurement

A
  1. Freely filtered at the glomerulus
  2. Not circulate bound to plasma proteins
  3. Not undergo resorption or secretion by renal tubules
  4. Must not alter GFR or cause renal toxicity
How well did you know this?
1
Not at all
2
3
4
5
Perfectly
7
Q

What is the definition of urinary clearance vs. plasma clearance?

A

Renal = The rate at which a filtered substance is cleared from a given volume of plasma by the kidneys into the urine. It can be expressed as the amount of substance in the urine appearing per a unit of time.

Plasma = he rate at which a substance is cleared from a given volume of plasma per unit time.

How well did you know this?
1
Not at all
2
3
4
5
Perfectly
8
Q

Which feline breed has a higher creatinine?

A

Birmans, n.b. that kittens have a higher creatinine than adults until about 8 weeks of age

How well did you know this?
1
Not at all
2
3
4
5
Perfectly
9
Q

What is the role of cystatin C in evaluating GFR?

A

Cystatin C should be reabsorped by the proximal tubules so if elevated concentrations are found in the urine this could be a marker of tubular injury. However, clinical studies in dogs and cats have not been overly promising.

How well did you know this?
1
Not at all
2
3
4
5
Perfectly
10
Q

What is the predominant urine protein detected on the dipstick?

A

Albumin

How well did you know this?
1
Not at all
2
3
4
5
Perfectly
11
Q

What is the lower limit of detection for a urine protein dipstick?

A

30mg/dL albumin

How well did you know this?
1
Not at all
2
3
4
5
Perfectly
12
Q

What are the factors that can lead to false negatives on the urine dipstick vs. false positives?

A
  • False negatives with:
    • Bence-jones proteinuria
    • Dilute urine
    • Acidic urine
  • False positivies with
    • Haematuria
    • Pyuria
    • Concentrated urine
    • Alkaline urine
How well did you know this?
1
Not at all
2
3
4
5
Perfectly
13
Q

What is the clinical definition of microalbuminuria?

A

albuin >1mg/dL but <30mg/dL

How well did you know this?
1
Not at all
2
3
4
5
Perfectly
14
Q

What are the ‘normal’ limits of UPC in dogs vs. cats and what do these values indicate?

A

Cat > 0.4
Dog >0.5
These indicate a urine albumin of >30mg/dL.
Values ≥0.2 indicate microalbuminuria

How well did you know this?
1
Not at all
2
3
4
5
Perfectly
15
Q

How many samples need to be taken to consider UPC abdnormal?

A

≥3 samples taken ≥2 weeks apare

How well did you know this?
1
Not at all
2
3
4
5
Perfectly
16
Q

What are the 6 factors that can affect UPC measurement and their actual impact on measurements

A
  • Sample method
    • No difference between cysto, midstream or free-catch
  • Environment
    • Higher in hospital vs. home
  • Haematuria
    • Only gross haematuria (>250 RBC/HPF)
  • Pyuria
    • Minimal
  • Bacturia
    • Minimal as ‘post-renal’ proteinuria is really a result of leakage of proteins from the blood from the inflammation in response to bacteria
  • Day-today variability
    • Can be very high particulary in patients that are markedly proteinuric
    • If UPC <4.0 then day-to-day variability is likely less important
    • If UPC >4.0 then a pooled urine sample is likely to be a good idea
      • Equivolume of urine over 3 measurements
How well did you know this?
1
Not at all
2
3
4
5
Perfectly
17
Q

Wat degree of proteinuria should prompt consideration for a renal biopsy

A

UPC >3.5 that is persistent

How well did you know this?
1
Not at all
2
3
4
5
Perfectly
18
Q

How long should anti-thrombotic therapy be discontinued prior to renal biopsy?

A

72h

How well did you know this?
1
Not at all
2
3
4
5
Perfectly
19
Q

What sample medium should be used when collecting a renal biopsy?

A
  • Post-biopsy handling
    • Put into physiological saline
    • Divide samples:
      • Light microscopy (formalin fixed)
      • Transmission electron microscopy (TEM, gluteraldehyde)
      • Immunoflourescence (Michel’s medium)
How well did you know this?
1
Not at all
2
3
4
5
Perfectly
20
Q

What light microscopy stains should be applied to identify the following in renal biopsy specimens:
a) General tissue architechture
b) Collagen
c) Junctions between compartments
d) Glomerular basement membrane to evaluate for immune complex deposition
e) Amyloid

A

a) H&E
b) Masson’s trichrome
c) PAS
d) Jones metanamine silver
e) Congo red

How well did you know this?
1
Not at all
2
3
4
5
Perfectly
21
Q

Which IFA markers should be evaluated on a renal biopsy (6)?

A

IgG
IgA
IgM
C1q
C3
Lamda and kappa light chains

How well did you know this?
1
Not at all
2
3
4
5
Perfectly
22
Q

What are the main risk factors for the development of complications during/following renal biopsy

A

<5kg size
Severe azotaemia (Cr. >442mmol/L)
Haemostatic disorders

How well did you know this?
1
Not at all
2
3
4
5
Perfectly
23
Q

What are the components of nephrotic syndrome

A
  • Proteinuria
  • Hypoalbuminaemia
  • Hypercholesterolaemia
  • Peripheral oedema or cavitary effusion
How well did you know this?
1
Not at all
2
3
4
5
Perfectly
24
Q

What endogenous (2) and exogenous (3) factors can impact on USG and approximate increases with these

A
  • Severe proteinura
    • 1g per dL increases USG by 0.003 - 0.005
  • Severe glycosuria
    • 1g per dL increases USG by 0.004 - 0.005 (urine dipstick is about 100mg per increment so only 0.1g => very little effect)
  • Colloids
  • Manitol
  • Iohexol
How well did you know this?
1
Not at all
2
3
4
5
Perfectly
25
Which antibiotic classess can cause false positives on urine dipstic measurements?
Fluroquinolones (part. ciprofloxacin) (glucose oxidase methods) Penicillins and cephalosporins (copper sulfate methods)
26
Equation for calculation of FE of electrolytes
27
What is the distribution of uinary epithelial cells in the urinary tract
Squamous = urethra or vagina Transitional = all the way from the renal pelvis to the urethra
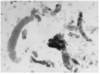
28
What does this picture indicate?
Granular cast
29
What does this picture indicate?
Waxy cast - later stage of granular cast
30
What ketones are detected on the urine dipstick?
Acetone and acetoacetic acid (NOT BHB)
31
What can cause ketonuria in animals, other than DKA
Prolonged fasting Low carbohydrate diet in cats
32
What is a relatively specific feature of renal lymphoma on ultrasonography?
Hypoechoic subcapsular thickening, this can mimic peri-renal fluid
33
What are perinephric pseudocyts and with what disease are they associated?
Fluid filled sacs without an epithelial lining (as would be the case for a true cyst). They are associated with CKD in cats.
34
Most common nephrotoxins in dogs vs. cats
Dogs: Ethylene glycol, NSAIDS, Cholecalciferol, aminoglycosides Cats: Ethylene glycol, cholecalciferol, lillies
35
What are the four phases of AKI?
1. Initiation 2. Extension - hypoxia and inflammation promote ATP depletion, impairement of NA/KATPase and cellular swelling 3. Maintenance 4. Recovery
36
How can FE sodium help in determining the cause of an AKI
FE <1% indicates a pre-renal component only as in this scenario the body is trying to conserve sodium and water.
37
Which antibiotics are directly nephrotoxic?
Aminoglycosides Expired tratracyclines - causes a fanconi-like syndrome Sulfonamides - intra-tubular crystal formation
38
What is the mechansm of action of fendolopam?
It is a D1 agonist. D1 agonism will dilate renal arteries and therefore increase renal blood flow, theoretically, inhibit ANG II and ADH. It does not have any D2 or adrenergic effects
39
What is the amount of insensible loss from the respiratory tract in dogs?
22ml/kg/d
40
Outline how to approach fluid therapy for a patient with AKI. Include how you would approach the oliguric or anuric scenario
1. Assess and correct hypovolaemia within the first 6 hours 2. Rehydrate the animal using nomal calculation - Subtract any fluid boluses from 1 - If not clinically dehydrated and not overydrated then assume a 5% dehydration rate 3. Once hypovolaemia and hydration have been corrected then use ins and outs: - 1. Add 22ml/kg/d for insensible losses - 2. Add in urinary losses - 3. Add in any ongoing losses Anuric patients: only administer insensible losses Overhydrated patients: withold fluids until euvolaemic Overhydrated anuric/oliguric patients should ideally have dialysis
41
When to use frusemide in AKI?
Only if there are clinical signs of volume overload as it has actually been associated with worse outcome.s
42
What is the lower end of blood pressure that is tolerable for renal autoregulation?
60 - 80 MAP or 80 - 100mmHg systolic
43
What are the definitions of oliguria?
In a well hydrated pet <1ml/kg/h is relative oliguria and 1 - 2 ml/kg/h would be considered relative oliguria in a patient receiving aggressive fluid therapy.
44
Antidotes for ethylene glycol toxicity?
4-methylpyrazole or ethanol given within 8 hours of exposure
45
Aminoglycoside antidotes
Tircacillin Cabenicillin
46
What hypothesis is applicable to the progression of CKD in dogs and cats?
The trade off hypothesis
47
What canine breeds MAY CKD be more likely in?
Cocker spaniels and CKCS
48
Compare and contrast the differences in primary histopathologic findings in CKD between dogs and cats
Chronic tubulointerstitial nephritis is the most common in both dogs and cats and the second most common is glomerulonephropathy with an increased prevalence in dogs. The third most common cause in dogs is amyloidosis and lymphoma in cats.
49
Compare and contrast negative prognostic factors for CKD in dogs vs. cats
Factors in both: - IRIS Stage - Proteinuria Dogs only: - Feeding a renal diet - Hypertension - Decreased BCS Cats only: - Serum phosphorus - Anaemia
50
Which species is uraemic gastropathy more common in?
Dogs
51
Explain the pathophysiology of renal secondary hyperparathyroidism
1. PO4 is increased due to declining GFR --> increased PTH 2. FGF23 increases in response to increased phosphorus --> inhibition of 1-alpha hydroxylase leading to reduced vitamin D --> increased PTH 3. Uraemia also inhibits calcitriols negative feedback on the parathyroid gland 4. Net result is a reduced resorption of calcium from the gastrointestinal tract
52
What alterations in CKD may predispose to a metabolic acidosis?
Decreased ability of renal tubular cells to synthesise ammonia (from glutamine) Decreased ability to secrete hydrogen ions Decreased excretion of phosphate buffers
53
In addition to RSHP what mechanisms may reduce total calcium in CKD?
Increased inorganic ions such as citrate, phosphate and sulfates may occur in the blood
54
Targets for phosphate restriction in CKD
55
How long after starting a phosphate restricted diet or phosphate binder can serum phosphate be re-evaluated?
4 - 6 weeks after a change
56
What are the four agents that can bind dietary phosphates, their risks and administration considerations, if applicable.
Aluminium hydroxide - risks of neuromuscular toxicity and microcytosis Calcium containing - likely to increase calcium, do not give alongside calcitriol Lanthanum - few side effects Sevalamer - can cause metabolic acidosis and hypercalcaemia (from the acidosis maybe?)
57
Treatment for metabolic acidosis due to CKD?
Renal diet Potassium citrate Sodium HCO3
58
What percetage of CKD dogs and cats treated with EPO will develop EPO antibodies?
25 - 30% cats and 50% dogs
59
When can the use of calcitriol therapy be considered and what conditions apply to its use?
Theory - it may reduce PTH levels (although this has not been proven to be prognostic) There is no evidence for its use in cats There is some evidence to suggest its use in dogs in stage ≥III CKD with evidence fo improved mortality Do not use if there are alterations in serum phosphorus or calcium as it will lead to absorption of BOTH of these in the GIT.
60
What is the most important determinant of passage of substances across the glomerulus?
Size - 60 - 70kDa is the upper limit Other factor is charge selectivity (negative charges are resisted by the BM)
61
Which breeds of dog seem to be predisposed to glomerular disease in general?
Labradors and golden retrievers
62
What combination of azotaemia and concentrating ability of the urine is a hallmark of glomerular disease?
Renal azotaemia with intact concentrating ability is suggestive of glomerular disease (as if you think about it the glomerulus has nothing to do with concentrating ability).
63
What are the four components of nephrotic syndrome
Hypoalbuminaemia Proteinuria Hypercholesterolaemia Oedema formation
64
Outline the classification of glomerular diseases in dogs/cats
Main categories: - Glomerulosclerosis (incl. FSGS and Global) - Immune complex glomerulonephritis (membranous, membranoproliferative, lupus, proliferative, cresentric, IgA) - Amyloidosis - Hereditary nephritis - Mimimal change glomerulopathy
65
What are the most common forms of glomerular disease?
ICGN (around 50% cases historically), glomeruloschlerosis and amyloiodosis
66
What glomerular disease is associated with lyme borreliosis?
Membranoproliferative glomerulonephritis
67
What findings suggest a primary vs. secondary ICGN?
Complement and Ig binding to the endothelial side is more suggestive of a secondary disease process wheras binding on the urinary side may suggest more of a primary process (e.g. membranous nephritis)
68
Which ICGN seems to be more of a primary disease?
Membranous nephritis - this is the most common glomerular disease in cats and often presents with quite severe proteinuria.
69
Compare and contrast the renal biopsy findings that may be found in MPGN, MN, proliferative nephritis and IgA nephropathy?
MPGN - predominance of immune stuff on the endothelial side. Capillaries are thickened and the mesangium is hypercellular MN - subepithelial immune complex deposition. Proliferative - immune complexes found in most places and there is generalised proliferation of the mesangium and capillaries IgA - predominance of IgA reactivity with lower positivity of other immune complexes.
70
What is the pathomechanism of hereditrary nephritis?
This is characterised by a defect in the GBM collagen type IV
71
What is the histologic findings that indicated minimal change disease?
Effacement of podocyte foot processes
72
which of FGSC and GS are the end stage of a glomerular insult vs. a potentially primary glomerular disease?
GS is end-stage FSGS is considered a primary glomerulopathy
73
Which breed is predisposed to MPGN?
Burnese moutain dogs Labradors and GR that have lyme disease
74
What percentage of Shar-Pei's have glomerular amyloidosis and what percentage are proteinuric?
64% have glomerular involvment. 25 - 43% are proteinuric (as it predominanly affects the medulla)
75
Outline the pathogenesis of renal amyloidosis
SAA is produced in hepatocytes due to macrophage-derived cytokines. (e.g. Il-6 in Shar=Pei).
76
At what stage of disease in renal amyloidosis may colchicine still be effective?
When there is no azotaemia or hypoalbuminaemia it can still result in reversal of proteinuria
77
What percentage of Shar-Pei's will develop renal amyloidosis?
23%
78
Which breed is predisposed to fanconi syndrome?
Basenji's
79
What drugs/disorders has aquired fanconi syndrome been associated with?
Gentamycin Primary hypoparathyroidism Chicken Jerkey treats Chlorambucil
80
What is the cause of proximal (type II) RTA?
Deficiency in the basolateral Na/HCO3 exchanger
81
Gene responsible for cystinuria in: a) Newfoundland, Labrador and Australian Cattle dogs b) Miniature pinchner
a) Slc3A1 b) Slc7a9 Just putting that Dalmations urate issue is Slc2A9 here as I always get confused between these.
82
What is the mechanism of action of 2-MPG?
Tiopronin - this forms cystine-thiol compound rather than a cystine-cystine compound increasing the solubility of cystine to allow excretion.
83
What alternative drug to tiopronin can be used in cystinuria?
D-penicillamine
84
What breeds are bredisposed to hyperuricosuria?
Dalmations English bull terrier Russian Terrier
85
What is the genetic mutation responsible for hyperuricosuria?
SLC2A9
86
What is the Gonto protocol?
This is a facebook thing that aims to reverse the hyperchloraemic metabolic acidosis that can occur with Fanconi syndrome and is often pushed by Basenji groups, however there is no evidence for its eficacy.
87
How can proximal and distal renal tubular acidosis be distinguished?
Proximal - hyperchloraemic acidosis with an acidic pH, HCO3 therapy can be used but requires more than distal RTA and FE of HCO3 will be increased (>15%). You may also see other proximal tubular defects or damage on UA/bloods. Ammonium chloride administration will remain acidic. Distal - hyperchloraemic metabolic acidosis with an alkaline pH, alkali therapy is more effective and FE of HCO3 is <15%. Ammonium chloride administration urine will remain alkaline.
88
What light microscopy findings are suggestive of renal dysplasia
The demonstration of immature renal structures which may be accompanied by the presence of hyperplastic normal nephrons and secondary changes such as intestitial nephritis
89
What is the mode of inheritance of hereditary nephritis in the following breeds? a) Samoyed b) English Cocker Spaniel c) Bull Terriers and Dalmatians
a) X - linked SNP in COL4A5 gene b) Autosomal recesive trait associated with a SNP in COL4A5 c) Autosomal dominant trait
90
What is the clinical course of hereditary nephritis in Samoyeds?
In males it is usually rapidly progressive with death occuring within 1 year. Females have a more prolonged clinical course
91
In which breeds is hereditary nephritis more rapidly progressive vs. less rapidly progressive?
More rapid in Samoyeds (particularly males), English Cocker Spaniels and is slower in Bull terriers and dalmatians
92
Which breeds of hereditary nephritis can IHC be used to diagnose the condition?
This can be used in Samoyeds (probably english cocker spaniels) but NOT bull terriers and dalmatians
93
What genetic renal disease do soft-coated wheaten terriers get and what is the genetic basis?
Podocytopathy and glomerulosclerosis Complex inheritance pattern associated with NPHS1 and KIRREL2 gene
94
What canine brreds are predisposed to PKD? What is the genetic basis
Bull Terriers, WHWT and Cairn Terriers Bull Terriers have an autosomal dominant mutation in PKD1 gene
95
What is genetic basis for PKD in cats?
Exon 29 in the PDK1 gene
96
What is telangiectaia and in what breed has this been reported?
It results in periodic gross haematuria and has been described in the Welsh Corgi
97
What breed has reflux nephropathy been described in?
Boxers
98
What is the genetic basis for cystadenocarcinoma in GSD?
Autosomal dominant with BHD gene mutation
99
What calcium-phosphate ratio increases the risk of soft tissue mineralisation?
CaPO above 70mg2/dL2 = >5.6mmol/L is the value that likely increases the risk of soft tissue mineralisation.
100
Normal ureteral diameters in the dog and cat
Dog ≤2.7mm Cat 0.3 -0.4mm
101
What is the role of the following receptors in the ureter? a) alpha 1 b) alpha2 c) beta d) Cholinergic
a & b stimulate contration of the ureter and alpha 1 fibres predominate c) relaxes d) relaxes
102
Why is dissolution of a ureteric stone not appropriate even if struvite is suspected?
Because the stone will not be continuously bathed by urine therefore eliminating the infection is troublesome.
103
Why is shock-wave lithotripsy not useful in cats with ureteric obstruction?
Cats kidneys are more prone to damage from the shockwaves The shockwaves will create fragments but given that these can stll be 1 - 2mm in size, these will still not pass down the ureter.
104
What is the most common reason for formation of a vaginoureteral fistula?
Accidental ligation of the ureter to the vaginal stump
105
Differences between UTI prevalence/types in dogs and cats?
Dogs: > 60% are gram negative infections with the majority being E. coli Cats: 50:50 between gram negative and gram positive. Most common is E. coli followed by Enterococcus spp.
106
What are the factors to consider when trying to predict urinary stone compostion?
- Radiogarphic appearance - Stone prevalence - Signalment - Urine pH (sediment)
107
Calcium oxalate monohydrate crystal
108
Calcium oxalate monohydrate crystal
109
Calcium oxalate dihydrate crystal
110
Calcium oxalate dihydrate crystal
111
Radiographic appearance of calcium oxalate monohydrate vs. dihydrate
Monohydrate tend to be small round-to-bosselated. Whereas dihydrate can have a star/rosette shaped appearance (see picture)
112
Calcium carbonate crystal
113
Calcium carbonate crystal
114
Struvite crystals
115
Struvite crystals
116
Urate crystals
117
Urate crystals
118
What stone is this likely to be?
Urate
119
Cystine crystals
120
Cystine crystals
121
Silica crystals
122
Silica crystals
123
What is the recurrance rate of CaOx crystals?
50% recurrance within 2 years
124
Treatment/prevention of CaOx
1. USG < 1.020 2. Avoid urinary acidification - Consider potassium citrate 3. Hydrochlorathiazie
125
Which diets are suitable for CaOx prevention, which ones acify?
Hills u/d (only one that alkalanises the urine) Hills w/d Hills c/d multicare RC SO
126
Diets suitable for struvite prevention?
Hills c/d multicare Royal canin SO
127
What urine pH do urate stones form in?
Acidic urine
128
What is the maximum size of stone that is amenable to voiding retrohydropropulsion?
<4mm stones, female animls only
129
What are the most common compound uroliths?
1. Calcium oxalate inner with outer struvite (CaOcx the primary stone with ifection resulting in struvite) 2. Inner struvite with outer calcium phosphate carbonate (infection associated)
130
Purine synthesis pathway
131
Which feline breeds are urate stones most frequenty found in?
Egyptian mau (82%) Birman (27%) Siaese (13%)
132
Outline the nervous control of the bladder
The hypogastric nerve provides sympathetic innervation to the detrusor muscle (beta) and to the internal ureathral sphincter (beta3 - inhibitory and alpha1 - stimulatory). The pelvic nerve provides muscarinic inntevation to the detrusor muscle which allows the bladder to contract. Somatic innervation is provide through nicotinic receptors which affect the external urethral sphincter.
133
What is the efferent stimulation for urinary voiding?
Parasymathetic stimulation due to bladder wall stretch travels via the pelvic nerve up to the pontine micturition centre. Voluntary inputs from the cortex will then allow or refute voiding.
134
What are the main disorders of storage of urine (i.e. will result in incontinance)?
USMI LMN bladder Detrusor hyperreflexia
135
What conditions predispose to USMI signs?
Short urethra Pelvic bladder Recesserd vulva
136
How would a dog with USMI present in contrast to a behavioural cause of 'incontinance' or reflex dysnergia?
USMI is associated with unconcious incontinance. In male dogs the bladder should be empty following voiding otherwise dysnergia remains a differential.
137
What is the effect of estrogens in USMI?
Oestrogens promote the expression of alpha receptors in the internal urethral sphincter.
138
What is the response rate of male dogs vs. female dogs to PPA with USMI?
Females response in 75 - 90% cases wherase in males response rates of more like 43% are noted. Neutered males may benefit from testosterone cyprionate.
139
What drug can be used to help with LMN bladders?
Bethanacol - this is a parasympatheticomimetic so can help with urine voiding.
140
What medical options are there for the management of detrusor hyperreflexia?
Oxybutynin and imipramine Oxybutynin is an antispasmodic with anti-muscarinic effects Imipramine is a TCA
141
What are the main disorders of abnormal bladder emptying?
Detrusor atony Detrusor urethral dyssenergy Dysautonomia
142
What are the treatment options for detrusor atony?
Keeping the bladder empty for several weeks Bethanacol
143
Which breed is predisposed to BPH?
Scottish terriers
144
What are the main hormones involved in the development of BPH?
DHT - promoted growth of glandular and ductal cells Estradiol (17 beta) = causes cellular metaplasia n.b. metaplasia = the replacement of one differentiated somatic cell for another in tissue
145
What medical treatment is most appropriate for dogs with BPH that you want to keep fertile?
Finasteride - this is 5a reductase inhibitor which prevents the conversion of testosterone to DHT. Therefore it will reduce prostatic size without affecting fertility or behaviour.
146
Most common bacteria implicated in bacterial prostatitis
E. coli, staphylococcus, klebsiella, proteus......
147
Clinical presentation of acute bacterial prostatitis
Usualy systemically unwell with caudal abdominal pain, stranguria may be in the history and they may also have a stiff or stilted hindlimb gait.
148
Why should castration be avoided in the acute stages of acute bacterial prostatitis?
It can result in scirrhous spermatic cord happening
149
What are the treament options for a prostatic abscess?
- AUS guided drainage or surgical drainage and omentalisation - Treatment with antimicrobials - Castration or other medical therapies to reduce prostatic size
150
What are paraprostatic cysts?
Cysts that form outside of the prostatic parenchyma from remnants of the uterus masculinis.
151
How could paraprostatic cysts present?
Potentially could get referred for a cuadal abdominal mass. They can cause problems with defecation.
152
What are the most common metastatic sites for prostatic neoplasms?
Local lymph nodes, lung and bone. Also can be in the bladder and pelvic musculature.
153
Treatment of choice for prostatic neoplasia?
NSAIDs and cisplatin Consider bisphosphonated for bone pain.
154
Practical considerations for blood pressure measurement a) size of cuff b) number of measurements
a) 30 - 40% of limb circumference b) 5 - 7 consistent measurements
155
How much higher do sighthounds blood pressures measure?
10 - 20mmHg
156
How much is blood pressure expected to increase with age?
1 - 3mmHg/year - dogs only
157
What are the screening guidelines for healthy animals with regards to systemic hypertension?
Routine screening for hypertension is not reccomended. However, screening for diseases that could be associated with hypertension can be considered for animals ≥9 years old
158
Categories of hypertension based on most recent consensus guidelines
Normotensive < 140 mmHg Pre-hypertensive 140 - 159 mmHg Hypertensive 160 - 179 mHg Severe hypertension ≥180 mHg
159
Approach to diagnosis of hypertension
160
Approach to management of hypertension
161
What are the goals generally, of anti-hypertensive treatment
Ideally <140mmHg but otherwise reduce category of risk by 1 category < 160mmHg is a minimum goal Avoid <120mHg
162
When should dogs be given combination therapy for hypertension?
If BP > 200mmHg
163
Treatment reccomendation for amlodipine in cats with hypertension
0.625mg if <200mmHg 1.25mg if >200mmHgW
164
What is the clinical scenario in which acute hypertensive management should be emplyed?
Patients with acute hypertension (>180 mmHg) with signs of intra-cranial target organ damage
165
What is the treatment goal for hypertensive emergencies?
Reduction of blood pressure by 10% in the first hour and then 15% over the following several hours. Acute reductions are likely to be detrimental as often the cause will not be acute and there will be some compensatory mechanisms that will have occured.
166
What is the treatment of choice for acute hypertensive crises and how should it be monitored?
Fenoldopam, delivered via a CRI and titrated to effect every 10 minutes.
167
When, after managing a hypertensive crisis, can oral agents be considered?
After 12 - 24 hours and the parenteral medication can be titrated down as the oral medication takes effect.
168
What blood pressure reading does doppler measurement correlate best to in dogs and cats?
In both it is generally more likely to equate to the systolic blood pressure but in cats it is thought to be closer to MAP
169
Following ureteric obstruction, what percentage of reduction is expected to be permanent after the following periods of time: - 7 days - 14 days - 40 days
- 35% - 54% - 100%
170
How should ureteric obstructions be managed in dogs according to consensus reccomendations
Ureteral stenting
171
What size of urolith can SWL be considered for?
<1.5cm stones