Lecture 4 Flashcards

(25 cards)

1
Q

What are the possible methodologies for radiographing birds?

A

-bird in a box
-perching
-sedated
*NEVER manual restraint

How well did you know this?
1
Not at all
2
3
4
5
Perfectly
2
Q

What are the characteristics of bird in a box radiology method?

A

-limited diagnostically
-lowest stress
-may allow for identification of major issues

How well did you know this?
1
Not at all
2
3
4
5
Perfectly
3
Q

What are the characteristics of perching radiology method?

A

-horizontal beam is useful
-bird is not restrained; may wish to apply hoods to falcons
-still get superimposition of legs and wings

How well did you know this?
1
Not at all
2
3
4
5
Perfectly
4
Q

What are the characteristics of sedated radiology method?

A

-best in regards to diagnostic images
-preferred by radiologists
-requires anesthesia
-always take a VD rather than a DV
-do VD first and lateral second

How well did you know this?
1
Not at all
2
3
4
5
Perfectly
5
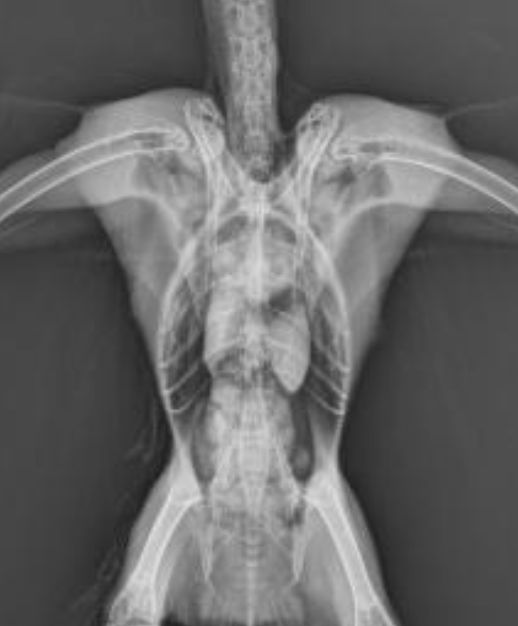
Q

What are the parts of skeletal anatomy labelled in this image?

A

1: sternum
2: coracoid
3: clavicles/furcula
4: scapula

How well did you know this?
1
Not at all
2
3
4
5
Perfectly
6
Q

What can be assessed on a sedated VD view?

A

-symmetry of organs
-pectoral and pelvic girdle
-heart and liver silhouette
-caudal air sacs

How well did you know this?
1
Not at all
2
3
4
5
Perfectly
7
Q

What are the keys to taking a good VD view in birds?

A

-straight body position
-keel overlying spine
-shoulders symmetrical and level

How well did you know this?
1
Not at all
2
3
4
5
Perfectly
8
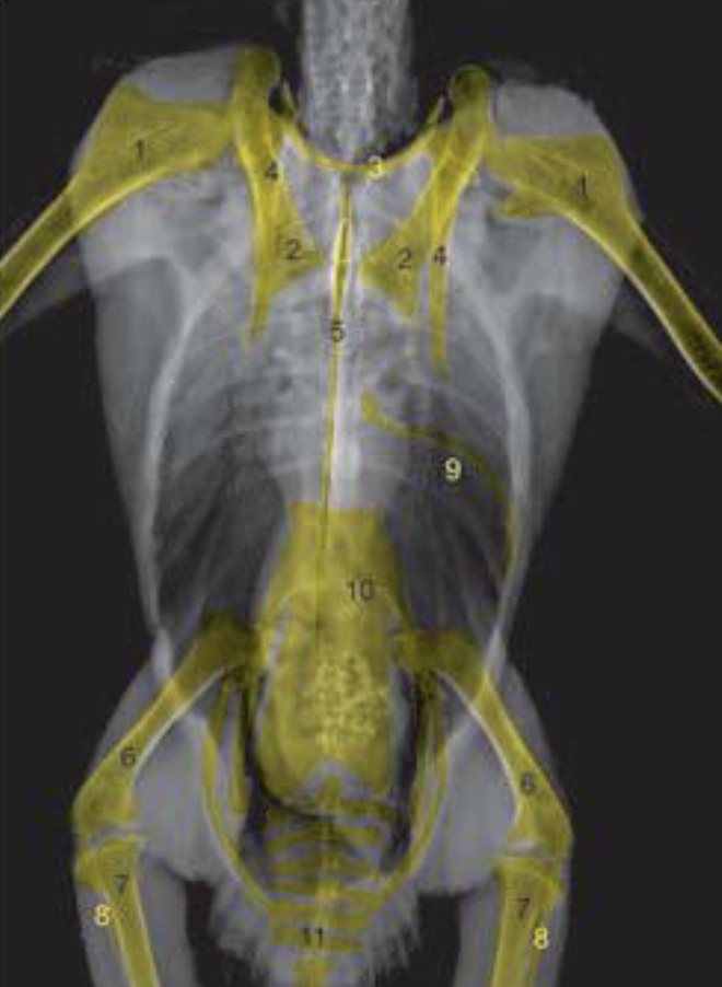
Q

What are the anatomical structures labelled in this image?

A

7: tibiotarsus
1: humerus
3: clavicle
2: coracoid
11: pygostyle
6: femur
4: scapula
8: fibula

How well did you know this?
1
Not at all
2
3
4
5
Perfectly
9
Q

What are the anatomical structures labelled in this image?

A

19: intestines
17: liver
14: thoracic and abdominal air sacs
16: heart
15: diverticula; clavicular air sacs
20: cloaca
13: lung
18: ventriculus

How well did you know this?
1
Not at all
2
3
4
5
Perfectly
10
Q

What are the anatomical structures labelled in this image?

A

1: heart silhouette
2: liver silhouette
4: cardiac width
5: thoracic width

How well did you know this?
1
Not at all
2
3
4
5
Perfectly
11
Q

How should cardiac width compare to thoracic width in medium sized parrots?

A

cardiac width should be 50-60% of thoracic width

How well did you know this?
1
Not at all
2
3
4
5
Perfectly
12
Q

What can be assessed on a sedated lateral view?

A

-spine
-heart and blood vessels
-lung structure
-spleen
-kidneys
-gonads
-GI system

How well did you know this?
1
Not at all
2
3
4
5
Perfectly
13
Q

What are the characteristics of the lateral view in birds?

A

-typically a right lateral view
-coxofemoral joints and shoulder joints will be superimposed

How well did you know this?
1
Not at all
2
3
4
5
Perfectly
14
Q

What are the anatomic structures labelled in this image?

A

7/8/10/11: vertebrae
5: femur
1: sternum/keel
9: synsacrum
6: tibiotarsus
3: clavicle
2: coracoid
4: scapula

How well did you know this?
1
Not at all
2
3
4
5
Perfectly
15
Q

What are the anatomical structures labelled in this image?

A

15: lung
18: proventriculus
21: liver
14: trachea
16: heart
23: kidney
22: spleen
17: crop
24: gonad
19: ventriculus

How well did you know this?
1
Not at all
2
3
4
5
Perfectly
16
Q

What are the characteristics of an “H” view?

A

-provides an improved view of coracoid and thoracic girdle
-angle set at 45 degrees

17
Q

What are the characteristics of magnification views?

A

-patient is elevated from cassette
-causes loss of detail
-divergent beam

18
Q

What is the term for this radiographic view?

19
Q

What is this “odd normal” that occurs in ducks?

A

syringeal bullae

20
Q

What is this “odd normal” seen in predatory birds?

A

skeleton/bones in the crop and gizzard from predation

21
Q

What is this “odd normal” seen in penguins?

A

bifurcated trachea

22
Q

What are classic signs of illness to be aware of on radiographs?

A

-loss of cardiohepatic waist
-irregular bones/changes in consistency
-lack of symmetry

23
Q

What can cause a loss of the cardiohepatic waist?

A

-hepatomegaly
-cardiomegaly
-splenomegaly
-enlargement of ventriculus/proventriculus/repro tract

24
Q

What are possible bone irregularities seen on radiographs?

A

-increased lucency
-sclerosis
-fractures
-bowed bones

25
Where should symmetry be assessed in birds?
-primarily at shoulders -femoral heads/pelvis