Skull radiography Flashcards

(35 cards)

1
Q

Different cranium types (3)

A

Dolichocephalic – sighthounds, collies

Mesaticephalic – german shepherd, setters (cranium length same as nose length)

Brachycephalic – bulldogs, boston terriers, pugs etc.

How well did you know this?
1
Not at all
2
3
4
5
Perfectly
2
Q

Describe brachycephalic patient skulls. (10)

A

Domed, thin calvarium (in some breeds thickened).

Ventrally orientated cribriform plate.

Reduced or absent frontal sinuses.

Shortened nasofacial area with crowded maxillary teeth.

Curved mandibles which are relatively longer than the maxillae, resulting in inferior prognathus (underbite).

Small and thick-walled tympanic bullae.

Increased soft palate and peripharyngeal soft tissue.

Excessive submandibular soft tissue (muscle mass and skin).

Caudally displaced hyoid apparatus.

Fontanelles or cranium suture lines may stay open.

How well did you know this?
1
Not at all
2
3
4
5
Perfectly
3
Q

Skull radiographical views. (6)

A

Lateral
VD (or DV)

Intraoral (VD/DV)
Oblique (temporomandibular joints, bullae)

Rostrocaudal
- Open mouth: can view bullas
- Closed mouth: can capture frontal sinus

Caudodorsal

How well did you know this?
1
Not at all
2
3
4
5
Perfectly
4
Q

Describe a good Lateral skull view.

A

Superimposition of structures on both sides.
- Good land marks: check that mandibles and aural bullas are overlaid.

Use pads/foams to support nose and/or jaws.

NB! If supporting materials not clean – artefacts!

Nose (mid-sagittal plane) parallel to table.

You can do open mouth or closed mouth.

How well did you know this?
1
Not at all
2
3
4
5
Perfectly
5
Q

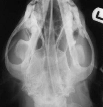
Describe a good Dorsoventral skull view.

A

DV is more preferred than VD → easier to achieve symmetry.

Hard palate needs to be parallel to table/cassette.

For viewing Midline structures, you need to remove intratracheal tube.

Bilateral symmetry is the goal.

Intraoral – teeth, maxilla/mandibula

How well did you know this?
1
Not at all
2
3
4
5
Perfectly
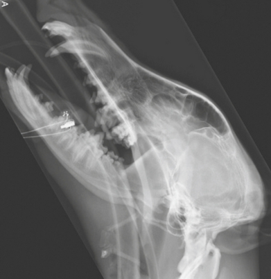
6
Q

Describe a good oblique skull view.

A

If you want to capture the maxilla, it should be positioned closer to the table (see image). And vice versa for the mandible.

Tilt Degree depends on the area and conformation of patient’s head.
- Usually 20-30 degrees

Brachycephalic – usually bigger degree (30+)
Dolicocephalic – usually smaller degree (10)

Sufficient degree will separate superimposed structures adequately.

Head towards DV
- You can more easily view: Frontal sinus, maxilla, upper teeth arcade.

Head towards VD
- You can more easily view: TMJ, bullas, mandibula, lower teeth arcade

How well did you know this?
1
Not at all
2
3
4
5
Perfectly
7
Q

whats this

A

Oblique mandibular view.

How well did you know this?
1
Not at all
2
3
4
5
Perfectly
8
Q

TMJ view is also called:
+ describe it

A

sagittal oblique

To view the temporomandibular joint.

Patient in lateral recumbency, nose lifted 10-30 degrees. Open mouth or closed mouth.

How well did you know this?
1
Not at all
2
3
4
5
Perfectly
9
Q

Rostrocaudal closed mouth for viewing…?
Describe positioning.

A

the frontal sinus

position such as in picture

How well did you know this?
1
Not at all
2
3
4
5
Perfectly
10
Q

Rostrocaudal open mouth for viewing…?
Describe positioning.

A

Tympanic bullae

30 degree angle between beam and hard palate

How well did you know this?
1
Not at all
2
3
4
5
Perfectly
11
Q

Describe the rostrocaudal skull view.

A

cats, brachycephalic breeds

The atlanto-occipital joint gently flexed so that the mandible is about 10 degrees less than vertical.

How well did you know this?
1
Not at all
2
3
4
5
Perfectly
12
Q

Review normal anatomy.

A
How well did you know this?
1
Not at all
2
3
4
5
Perfectly
13
Q

Review normal VD/DV anatomy.

A
How well did you know this?
1
Not at all
2
3
4
5
Perfectly
14
Q

Skull fractures radiographically.

A

Fracture line must be differentiated from suture line. Fractures are not usually symmetrical.

Image has dark line around midline that is not symmetrical = fracture.

How well did you know this?
1
Not at all
2
3
4
5
Perfectly
15
Q
A

fractured mandibula in oblique views

in the right mandibula view you can barely see the fracture due to superimposition of structures so capture both mandibula on their own image.

How well did you know this?
1
Not at all
2
3
4
5
Perfectly
16
Q

identify pathology

A

Subperiostal haematoma

Egg-shell like new thin bone is new bone formation due to repeated mild-moderate trauma.

5 mo Akita that banged its head on its crate repeatedly.

17
Q

identify pathology

A

Hydrocephalus

Note the open fontanelle as well.

7 mo Staffordshire terrier mix

18
Q

identify pathology

A

left zygomatic arch neoplasia in left image

asterisk marks soft tissue neoplasia in left side image. note the difference in density of that space.

19
Q

identify pathology

A

calvarium neoplasia in left image

mandibular neoplasia in right side image

20
Q

identify pathology

A

left image: Fracture of retroauricular processus

right: TMJ dysplasia

21
Q

identify pathology

A

TMJ neoplasia

but note that osteomyelitis can look very similar

22
Q

identify pathology

A

TMJ subluxation

in the closed mouth image the luxation is difficult to discern but in the open mouth view its obvious

23
Q

identify pathology

A

TMJ luxation in a cat

24
Q

Describe craniomandibular osteopathy.

A

“CMO”

Is a non-neoplastic proliferative bone disease (the new growth grows outward typically).

Usually 3-8 mo old dogs affected
- Especially West Highland white terrier – autosomal recessive.
- Cairn terrier, Scottish terrier

Marked new bone formation in:
- Mandibulae
- Bullae
- In some cases, also the cranium and frontal bone.

Great variability in presentation – bilateral, unilateral, different areas can be affected

Self-limiting disease! changes may even disappear in time

25
Describe Secondary hyperparathyroidism.
Nutritional Ca+ deficiency that affects mostly vertebrae, bones in limbs. Secondary hyperparathyroidism can also be caused by Chronic renal failure and in these cases it tends to affect the skull. Renal dysplasia (in young animals) can also cause it. Renal issues cause Hyperphosphatemia, hypocalcemia which in turn will stimulate the secretion of parathyroid hormone. Too much PTH causes Bone resorption: “Floating teeth”, “Rubber jaw”
26
identify pathology
Secondary hyperparathyroidism, bone resorption and “Rubber jaw”.
27
Ear radiography views. (3)
DV Rostrocaudal open mouth (cats: closed mouth) Oblique For e.g.: - Polyps (cat) - Neoplasia - Obstructed ear canals
28
identify pathology
Middle ear disease - polyp the bulla should be filled with air so it should be almost black but in this image it is not.
29
identify pathology
Chronic infection, mass in the right canal. neoplasia and chronic infection will look similar on xray and often a mass will cause infection anyway so both will be present.
30
identify pathology
Nasopharyngeal mass in cat visible in open mouth view
31
Xray views for Nasal chambers and frontal sinuses. (3) What ailments do you look for in these views? (2+)
Lateral/ DV Intraoral DV Rostrocaudal (frontal sinus) Rhinitis - Bacterial - Fungal (aspergillosis) - Foreign bodies - Lymphoplastocytic Neoplasia
32
Review normal anatomy.
Dotted line – cribriform plate
33
What do you see?
Nasal chambers R – rostral part - Numerous slightly wavy parallel lines. M – middle part. Rounded, more widely spaced lines. Cd – caudal part. Linear lines.
34
identify pathology
signs of inflammation or neoplasia. in this case it was Aspergillosis.
35
identify pathology
3 neoplasia examples (but inflammation looks very similar) observe difference in density between sides of jaw. it shouldn't be too dense nor too dark (lytic changes). You should be able to see turbinate structures in normal states. But note, that fluid will also obscure structures.