Lecture 16 Flashcards

(37 cards)

1
Q

What are the characteristics of otitis externa?

A

-inflammation of external auditory canal
-may be present in the absence of radiographic signs, esp. if acute
-can see narrowing/occlusion of external ear canal with chronic cases
-can see mineralization of ear canal walls with chronic cases

How well did you know this?
1
Not at all
2
3
4
5
Perfectly
2
Q

What is shown in this image?

A

otitis externa:
-soft tissue opaque ear canals rather than air-filled
-large, chronic mineralizations in both external ear canals

How well did you know this?
1
Not at all
2
3
4
5
Perfectly
3
Q

What is shown in this image?

A

otitis externa:
-mineralization associated with both ear canals

How well did you know this?
1
Not at all
2
3
4
5
Perfectly
4
Q

What are the characteristics of otitis media?

A

-inflammation of middle ear
-often sequela of otitis externa
-may be present in the absence of radiographic signs
-soft tissue opacity within tympanic bulla
-thickened, irregular, sclerotic bulla wall/bulla osteitis
-increased opacity of petrous temporal bone

How well did you know this?
1
Not at all
2
3
4
5
Perfectly
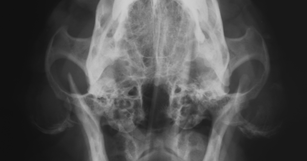
5
Q

What is shown in this image?

A

otitis media:
-sclerosis of right tympanic bulla
-left bulla is almost normal

How well did you know this?
1
Not at all
2
3
4
5
Perfectly
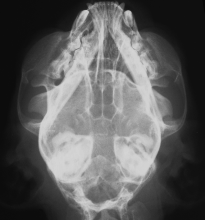
6
Q

What is shown in this image?

A

otitis media:
-sclerosis of right petrous temporal bone
-thickened right bulla wall compared to the left

How well did you know this?
1
Not at all
2
3
4
5
Perfectly
7
Q

What is shown in these images?

A

Left:
-normal

Right:
-otitis media
-thickening and increased opacity of superimposed abnormal bulla/bullae

How well did you know this?
1
Not at all
2
3
4
5
Perfectly
8
Q

What is shown in these images?

A

Left:
-normal

Right:
-otitis media
-bullae with increased opacity; especially right side

How well did you know this?
1
Not at all
2
3
4
5
Perfectly
9
Q

What is shown in these images?

A

Left:
-normal

Right:
-nasopharyngeal polyp

How well did you know this?
1
Not at all
2
3
4
5
Perfectly
10
Q

What are the characteristics of tumors of the ear?

A

-mostly soft tissue tumors
-unilateral
-soft tissue opacity/mass in ear canal
-can occlude or compress normal air-filled lumen
-dystrophic mineralization within soft tissue mass
-possible lysis of bulla or adjacent bony structures

How well did you know this?
1
Not at all
2
3
4
5
Perfectly
11
Q

What is shown in these images?

A

tumor of the ear:
-large soft tissue mass/swelling where right ear canal should be
-marked lysis of tympanic bulla

How well did you know this?
1
Not at all
2
3
4
5
Perfectly
12
Q

What is shown in these images?

A

Left:
-normal left bulla

Right:
-missing right bulla due to SCC of right ear

How well did you know this?
1
Not at all
2
3
4
5
Perfectly
13
Q

What are the normal tooth anatomy structures labelled in these images?

A

Yellow Arrows: alveolar crest
Blue Arrows: lamina dura
Red Arrows: periodontal membrane

How well did you know this?
1
Not at all
2
3
4
5
Perfectly
14
Q

What are the two components of periodontal disease?

A

-gingivitis: inflammation of the gums
-periodontitis: loss of bone and soft tissue around the teeth

How well did you know this?
1
Not at all
2
3
4
5
Perfectly
15
Q

What is the pathogenesis of periodontal disease?

A

-chronic infection
-inflammation and destruction of periodontal ligament
-resorption of the wall of alveoli and teeth loosening

How well did you know this?
1
Not at all
2
3
4
5
Perfectly
16
Q

What are the radiographic signs of periodontal dz?

A

-resorption and erosion of alveolar crest
-widening of periodontal space
-loss of lamina dura
-rarefaction and progressive destruction of alveolar bone
-tooth loss
-tooth root resorption
-pulpitis
-periapical abscesses
-osteomyelitis
-rhinitis
-pathologic fractures

17
Q

What is shown in this image?

A

periodontal dz:
-regression of alveolar crest

18
Q

What is shown in this image?

A

periodontal dz:
-widening of periodontal space

19
Q

What is shown in this image?

A

periodontal dz:
-loss of lamina dura
-rarefaction of alveolar bone

20
Q

What is shown in this image?

A

periodontal dz:
-tooth loss

21
Q

What is shown in this image?

A

periapical abscess
-resorption of alveolar bone
-resorption of tooth root

22
Q

What is shown in these images?

A

pulpitis:
-widening of pulp cavity

23
Q

What are the characteristics of hemivertebrae?

A

-due to failure of vertebral body to develop fully
-seen in bulldogs, boston terriers, and pugs most commonly
-thoracic area most common
-may be associated with kyphosis/hump back
-crowding of ribs
-often incidental finding

24
Q

What are the radiographic findings of hemivertebrae?

A

-wedge-shaped vertebrae on lateral view
-wedge-shaped vertebrae on VD view
-butterfly vertebrae on VD view
-compensatory changes in shape of adjacent vertebrae
-disc spaces misshapen but preserved

25
What is shown in this image?
hemivertebrae: -wedge-shaped vertebrae
26
What is shown in this image?
hemivertebrae: -wedge-shaped vertebrae -fusion and malformation of associated spinous processes -kyphosis
27
What is shown in these images?
hemivertebrae: -wedge-shaped on lateral view -butterfly-shaped on VD view
28
What are the characteristics of block vertebrae?
-fusion of two or more adjacent vertebrae -can include the bodies, arches, or whole vertebrae -no disc space -any location in the spine -incidental finding -must differentiate from acquired fusion following fracture/luxation/discospondylitis
29
What is shown in this image?
block vertebrae
30
What is shown in this image?
block vertebrae
31
What are the characteristics of transitional vertebrae?
-vertebra at a junction between two spinal regions assumes characteristics of both regions -need to determine vertebral formula to name them properly -usually of no clinical significance
32
What is shown in this image?
transitional T13 vertebra
33
What is shown in this image?
sacralization of L7 -L7 aligned with sacrum -no disc space between L7 and S1
34
What are the characteristics of spina bifida?
-incomplete formation of dorsal lamina -seen in screw-tailed breeds -spina bifida occulta is asymptomatic and JUST an osseous defect -spina bifida manifesta causes neurologic deficits and involves osseous defect with protrusion of meninges +/- spinal cord
35
What are the radiographic findings of spina bifida?
-complete absence of spinous processes -incomplete fusion of spinous processes -most commonly seen in LS area on a VD view
36
What is shown in these images?
spina bifida: -absent spinous process
37
What is shown in these images?
spina bifida: -split/double spinous processes